Ray White Flat Bush

Ray White provides a broad range of real estate services from selling your property to property management. Visit our website to see over 12,000 properties on display.

We are a family owned business. When you choose Ray White, you are choosing over 100 years of experience and a name you can trust. We guarantee it!

Contact us to find out how Ray White can help you when it comes to property.

Ray White Flat Bush
Mountfort Estate Agents Ltd Licensed (REAA 2008)

Real Estate Agents

Ray White Flat Bush
Ray White Flat Bush
Unit 25
123 Ormiston Road
Flat Bush
Auckland 2016
Listing #:
DMR31296
Listed:
247 days ago

By Negotiation

Please give us an offer

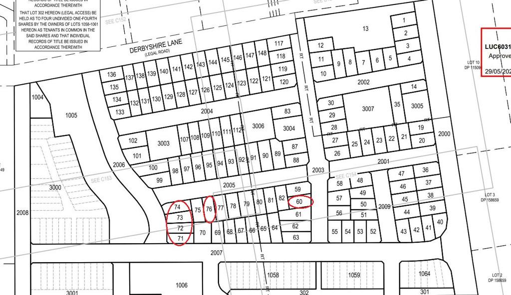
5 Tebaga Gap Road, Karaka, Franklin
Other
landarea
259m2 Land Area
About this property
• Extreme motivated seller
• Already with title and services
• Stand alone design for the section
• Within walking distance to ACG school
• Close proximity to motorway and shops
Check out whether you can get fibre internet
Meet your new neighbours on Neighbourly