Ray White Albany - Realty Insight

Ray White provides a broad range of real estate services from selling your property to property management. Visit our website to see over 12,000 properties on display.

We are a family owned business. When you choose Ray White, you are choosing over 100 years of experience and a name you can trust. We guarantee it!

Contact us to find out how Ray White can help you when it comes to property.

Ray White Albany
Ideal Real Estate Ltd Licensed REAA(2008)

Real Estate Agents

Ray White Albany - Realty Insight
Ray White Albany - Realty Insight
27C William Pickering Drive
Rosedale
Auckland 0632
Listing #:
ABY31896
Listed:
438 days ago

Price by negotiation

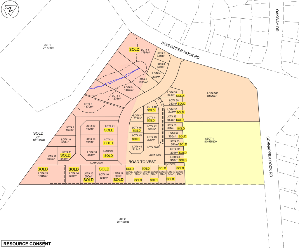
Schnapper Rock Premium Land Release

57 Schnapper Rock Road, Schnapper Rock, Albany, North Shore City
Other
About this property
Resource Consent Issued!

This is your opportunity to purchase freehold sections in a peaceful, sought-after Schnapper Rock neighbourhood. With land sizes ranging from approximately 286m2 to 1,470m2 (more or less), you can design & build the dream home that truly suits your family & lifestyle needs.

Resource Consent has already been issued, providing confidence to move ahead with your vision. Whether you are creating a spacious family haven or a contemporary low-maintenance home, these sections offer exceptional versatility in a premium North Shore address.

Located in a modern residential enclave surrounded by quality homes, this land presents long-term value, lifestyle appeal & a rare opening in a tightly held area.

Build what you imagine, secure your future & take advantage of this premium position.

Features:
• Freehold sites from approx. 286m2 to 1,470m2 (more or less)
• Resource Consent issued
• Premium residential setting with quality neighbouring homes
• Ideal for families, builders, developers & land-banking
• Flexible design potential subject to council requirements

Location:
Perfectly positioned with excellent convenience while still enjoying a peaceful suburban setting. Close to Albany Westfield, Albany Mega Centre, Costco, Westgate, North Harbour Stadium & North Shore Golf Club. Quick motorway access & public transport options nearby for smooth travel across Auckland.

Education:
In zone for highly regarded education including Kristin School, Pinehurst School, Albany Junior High, Albany Senior High & Massey University, offering outstanding learning pathways from primary to tertiary level.

Contact Lily today to secure your preferred site & start planning your future in this exceptional Schnapper Rock community.
Check out whether you can get fibre internet
Meet your new neighbours on Neighbourly